Alex Grooming en Los Angeles

5421 Santa Monica Blvd suite d, Los Angeles, CA 90029, Estados Unidos

★★★★☆
(91 reseñas)
Especialidades: Peluquero de mascotas

Acerca de la Clínica

Alex Grooming es un servicio de peluquería para mascotas ubicado en el corazón de Los Ángeles que destaca por su atención profesional y accesibilidad. Con una impresionante calificación de 4.4 estrellas basada en 91 reseñas, este local se especializa en el cuidado integral de perros y gatos.

Ubicado en 5421 Santa Monica Blvd suite d, el establecimiento ofrece instalaciones completamente adaptadas para personas con movilidad reducida, incluyendo acceso para sillas de ruedas y estacionamiento especial. Los clientes destacan su servicio asequible y de alta calidad.

Lo que hace especial a Alex Grooming son sus profesionales comprometidos. Los usuarios han compartido experiencias increíblemente positivas, resaltando el cariño y profesionalismo con el que tratan a las mascotas. Muchos clientes llevan años confiando en este servicio, lo que habla de su consistencia y confiabilidad.

Entre sus principales fortalezas se encuentran precios económicos, un trato cercano con las mascotas y una atención personalizada. Los comentarios revelan que trabajan tanto con perros como con gatos, adaptándose a las necesidades específicas de cada animal.

El horario de atención termina a las 17:30, por lo que es recomendable coordinar previamente una cita. Su compromiso con la calidad se refleja en cada servicio, ganándose la confianza de los dueños de mascotas en Los Ángeles.

Si buscas un lugar de confianza para el cuidado y aseo de tu mascota, Alex Grooming sin duda merece ser considerado. Su trayectoria, buenas referencias y dedicación los posicionan como una opción destacada en el servicio de peluquería canina y felina.

Galería de Fotos

Reseñas

4.4
★★★★☆
91 reseñas

Más Mencionado

precio (8) laburo (7) pulgas (2)
5 estrellas
69
4 estrellas
9
3 estrellas
2
2 estrellas
0
1 estrellas
11
April 20, 2024

Están dando un pésimo servicio mande a mi perrita con mi hermano, siempre la había llevado ahí y me gustaba como la dejan pero esta vez me la dejaron muy mal su corte un desastre, no la bañaron y esto que se pagó por el servicio completo, salió soltando mucho pelo del que le cortaron y lo que querían hacer era darme escusas conmigo perdieron un cliente y no se los recomiendo para nada.

April 16, 2024

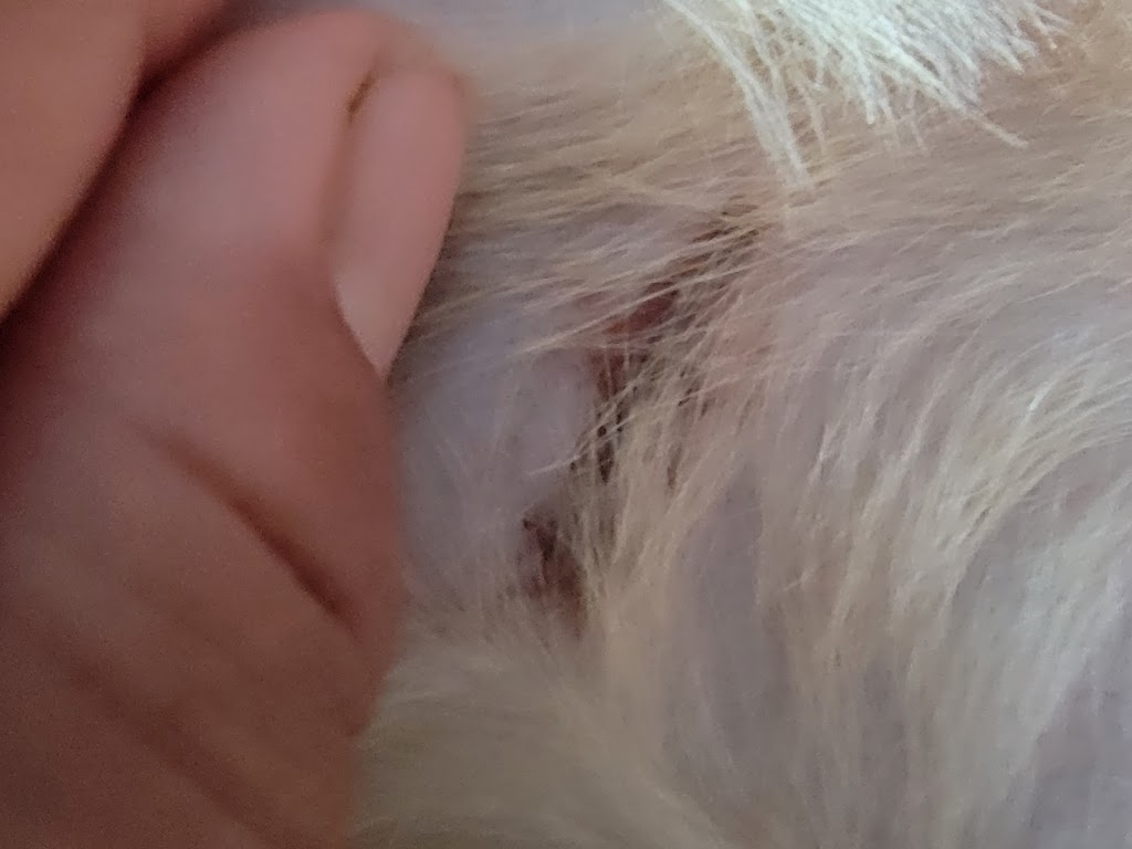
I took my dog first time my dog was fine went i took ​​ we Alex forgrooming on day 4/10/24, it turned out worse and sad. Knowing that you are not careful with the puppies, I called the owner and she told me she was going to check the video. It's been 5 days and I called her today 4/16/ 24 I asked her if she watched the video and she answered that the groomer was going to talk to me for 15 minutes, then 1 hour and I called her that the lady is not there. If I wanted to leave a message, please don't take your puppy with them. They cut his belly and Some of their wuini is unacceptable and I don't know what happened. I am very disgusted with them. lleve a mi perro por primera vez el esta bien coando lo lleve con Alex grooming el dia4 /10/24 me salio peor y tristesa Saber que no tienes cuidado con los cachorros le llame a la dueña me dijo que iba a chequear el video ya pasaron 5 días le llame hoy 4 / 16/24 le pregunte si miró el video y me contesto que el groomer iba hablar con migo 15 minutos paso 1 hora y la llame que no esta la señora que si quería dejar un mensaje por favor no lleven a su cachorro con ellos le cortaron su panza y un parte de su wuini es inaceptable y no me andicho que paso estoy muy indinada con ellos

Foto de la reseña
Foto de la reseña
Foto de la reseña
Foto de la reseña
★★★★★
October 13, 2023

Muy buen trabajo mi hijo quedo muy guapo 😘 muchas gracias, bien recomendado

Foto de la reseña
Foto de la reseña
★★★★★
July 30, 2023

Me dejaron a mi perro English bulldog limpio y gracias por ello!

★★★★★
February 7, 2023

Excelente un lugar donde me trataron a mi cachorro muy bien

★★★★★
January 30, 2023

La atencion fue muy buena y mis perritos quedaron encantados.

★★★★★
July 24, 2022

La verdad mis 2 gatito (michy y Kika) salieron muy limpios y sobre todo muy tranquilos los llevé el pasado martes y salieron muy bonitos regresaré 3 semanas porq me os están limpiando de pulgas

Foto de la reseña
July 8, 2022

Ase 4 meses lleve a mis 2 perritas a una de ellas me la entregaron con sus 2 ojos rojos y fuimos a preguntar y la señora muy grosera no me dio solución yo la lleve al dr.y al parecer la lastimaron y le dije ala dueña y quedo en ayudarme con el bill del dr.que fueron casi 600 dolares y me dijo que con la mitad y cuando pase por la mitad de lo que pague la sra.me corrió de su local gritándome que no me daría nada por eso esta como esta esa señora enferma de un ojo por mala

Foto de la reseña
Foto de la reseña
★★★★★
Guía Local

Personal amable, tarifas asequibles y excelente cuidado, ¡servicio sin cita previa el mismo día! ¡Nano y Pippin se divirtieron!

★★★★★

Servicio increíble. Gente súper amable y a mi perro le encanta jugar con su gato.

★★★★★

Mi perro ama a Alex. Es muy bueno en lo que hace y no lo llevaré. En cualquier otro sitio

★★★★★

Mi perro Tito se fue luciendo muy hermoso y feliz.

★★★★
Guía Local

Son muy amables y simpáticos, pero no estoy seguro de que su gestión del tiempo sea excelente. Dijeron que el gato tardaría 1 hora en bañarse, pero tardó 3 horas.

★★★★★

Exelente

★★★★★
Guía Local

He estado visitando a Alex probablemente durante 10 años, incluso antes de que él se fuera solo. Tenía un perro increíblemente difícil cuando comencé a verlo y ese perro adoraba a Alex. Ama a los animales e incluso baña y cuida a los gatos. Es cuidadoso y hace muy buen trabajo. Toda su familia también es amable. Este es un negocio familiar. Propiedad y operación latina. El único inconveniente es el estacionamiento y el tráfico en Western y Santa Mónica.

★★★★★
Guía Local

Fantástico trabajo, rápido y agradable.

★★★★★

Gran lugar para cuidar a tu perro. He estado viniendo aquí cada vez que vengo de visita. Hacen bien su trabajo y son personas educadas.

★★★★★

Siempre cuidan muy bien a mi gato.

Llevé a mi perro por primera vez aquí..cometí un gran error..terminé yendo al veterinario porque al día siguiente se enfermó..pagué $300 al veterinario nunca más.

★★★★★
Guía Local

Excelente servicio mis bebes quedan hermosos cada vez que los llevo

★★★★★

Alex es el mejor chico que se arregla

★★★★★

El servicio es excelente, amigable con nuestros perros, excelentes precios y siempre listo a tiempo.

★★★★★

¡Me encanta el cuidado de Alex! Hemos estado llevando a nuestro perro aquí durante más de un año para su aseo y siempre cuidan bien de nuestro cachorro.

★★★★★

Siempre e llevado ami perro y salgo muy contenta y mi perro le gusta ai

Buen servicio pero subieron el precio 2 veces el año pasado.

★★★★★

Excelente servicio.

★★★★★

Vengo aquí todo el tiempo, son muy amables y lo hacen muy bien. El precio es muy razonable.

★★★

Probé este lugar por primera vez y también fue el primer aseo de mi perro. Mi perro es un Maltipoo pequeño. Cuando fui a recoger a mi perro, el peluquero nos saludó y nos entregó a nuestro perro con un pañuelo blanco y verde en el cuello, se veía lindo. El peluquero dijo que nuestro perro estaba un poco nervioso. La sala de espera no está muy iluminada, por lo que es difícil observar los detalles. El peluquero dijo que nuestro perro estaba un poco nervioso. Noté que mi perro estaba un poco emocionado, pero pensé que era normal porque no nos había visto. Tan pronto como llegamos a casa y comenzamos a revisar a mi perro, le quité el pañuelo del cuello y vi que tenía un corte en el cuello. El peluquero nunca mencionó ese corte y el pañuelo hizo un buen trabajo cubriéndolo. También encontré hematomas en la oreja derecha y en la pierna derecha. Entiendo que hay accidentes, pero también espero que los peluqueros sean honestos y nos lo digan, en lugar de tapar la herida con el pañuelo. Investiga y ten cuidado.

★★★★★
Guía Local

Un amigo mío me recomendó Alexs Grooming. Entonces, llevé a mi chico Lil a un día de arreglo personal. De principio a fin fueron muy serviciales y amables y se aseguraron de que mi Charlie se sintiera cómodo, lo que me hizo sentir mejor con nuestra visita. Hicieron un excelente trabajo y el precio fue MUCHO más bajo de lo que estoy acostumbrado a pagar. Te recomiendo encarecidamente que lo revises. Te lo prometo, te alegrarás de haberlo hecho.

★★★★★

¡Siempre una gran experiencia! Amable, excelentes servicios y precios. ¡Recomiendo ampliamente sus servicios para mascotas!

★★★★★

Llevé a mi gata un par de veces (es mayor y bastante gruñona) y al principio dudaba en llevarla a la peluquería, ¡pero Alex hace un trabajo increíble!

★★★★★
Guía Local

En primer lugar, esta no es una boutique elegante de shmancy en absoluto... PERO, los servicios que brindan y el trabajo que realizan están por encima y más allá. Llevé a mi pequeño Charlie allí y se sintió cómodo, lo que me hizo sentir cómodo. Recomiendo ampliamente Alexs Grooming..

★★★★★
Guía Local

Empresa familiar muy amigable, mi gato siempre está feliz allí.

★★★★★

Muy buen corte de pelo a mi perrito!

★★★★★

Uno de mis perros ODIA que lo cepillen y ha ido a muchos peluqueros diferentes. Ella siempre ha salido asustada, en pánico y traumatizada. Este es el único lugar donde ella sale feliz y ¡saben cómo hacerle el corte adecuado! El servicio de atención al cliente también es amable y encantador, ¡no podría haber pedido más!

★★★★★
Guía Local

Traje a mi gato Dean aquí por primera vez, estoy muy feliz con su cuidado. Todas mis preguntas fueron respondidas, hubo una cita disponible de inmediato. Muy paciente conmigo y respetuoso, ya que nunca antes había llevado una mascota a la peluquería. Dean se ve tan bien que no puedo dejar de mirarlo. Pongo una foto de él antes del arreglo y después. El después es aquel en el que está en el suelo. Definitivamente regresaré.

★★★★

Me encantó el nuevo corte. Aunque mi cachorro era un poco rudo, ¡lo siento mucho! ¡Pero por primera vez me encantaron!

★★★★★

Hicieron un buen trabajo con mi perro, ¡se ve hermosa!

El peluquero le cortó la cara a mi perro y cuando llamé para ver qué pasaba, la esposa del peluquero, la dueña, me gritó, como ella dice. Ella me gritó que tenía que traer a mi perro y no se calmaba. No pudo mantener la compostura. Solo estaba llamando para ver qué pasó y quería que supieran que estaba molesto. No lo manejaron bien. Mi perro es muy fácil de cuidar y nunca he tenido problemas con él porque es muy tranquilo. Nunca antes nadie había cortado a mi perro. Con su respuesta mienten. Nunca dije que tuviera problemas con las pulgas, es un perro de interior. Literalmente salía sangre del corte, no es una alergia ni un medicamento. Este lugar es deshonesto. Ten cuidado. No te preocupes, no descansaré hasta que todos sepan esto. Para que esto no le pase a nadie más.

★★★★★

Dejaron a nuestro Shoh Tzu luciendo increíble con su corte teddy beat, fueron rápidos y eficientes. Encantador servicio al cliente también.

★★★★★

¡¡He estado yendo a Alex durante casi 10 años!! Es increíble con mis perros y es un placer tratar con él.

★★★★★

Muy bien y bien atendido.muchas gracias por sus servicios.

★★★★★

¡Gran negocio familiar! Precios justos ($60 por perro pequeño y $70 por gato, si no recuerdo mal) y hacen un gran trabajo. Cuando el corte de pelo resultó un poco diferente de lo que quería, rápidamente lo cuidaron y lo dejaron absolutamente perfecto. También nos gusta que no toman todo el día como lo hacen otros lugares, cada corte de pelo/baño tomó alrededor de 3 horas, y nuestras mascotas no se angustiaron ya que a veces se meten en otras peluquerías, especialmente nuestro gato, que es muy quisquilloso y generalmente enojado el resto del día después de regresar a casa. Estaba totalmente bien después de ir a Alex Grooming. ¡Definitivamente lo recomiendo!

★★★★★

¡Siempre haciendo un gran trabajo!

★★★★★

¡Alex Grooming hace un gran trabajo con los cortes de pelo de mis dos perros! ¡Son una pequeña empresa familiar donde es obvio que a todos les encantan los animales!

★★★★★

Como salió mi perro.

★★★★★
Guía Local

¡No llevaría a nuestro esquimal americano a ningún otro lugar!

★★★★★

Entré sin cita previa para cortarme las uñas y Alex fue muy amable, rápido e hizo un buen trabajo. Las uñas de mi perro Rocko estaban muy crecidas, así que me alegro de que haya podido dejarlas así de cortas sin sufrir lesiones. Llamaría con anticipación si planeas venir solo para asegurarme de que pueda acomodarte, pero vivo en el área, por lo que no fue gran cosa simplemente pasar y comprobarlo. ¡Volveremos! Gracias Alex.

★★★★★
Guía Local

¡Él es el mejor! ¡Cuida a los perros como si fueran suyos!

Guía Local

Cortaron al perro de mi amigo mientras lo acicalaban

★★★★★

¡Alex es muy profesional, talentoso y amable! Llevo años llevándole mi perro. ¡Siempre hace que mi perro parezca un modelo! Sus precios y servicio son fantásticos.

★★★★★

Álex es el mejor! Hace que nuestro Shih Tzu luzca tan hermoso y esponjoso. Si traes una foto de cómo quieres que se vea tu perro, Alex es increíble al hacer exactamente eso. El precio es muy razonable y Alex es muy amable. ¡Definitivamente lo recomiendo!

★★★★★

¡Estas personas son geniales y volveré!

★★★★★

¡El mejor peluquero de la ciudad!

★★★★★
Guía Local

Son los únicos peluqueros asequibles que he encontrado en Los Ángeles.

Llevé a mi perro a que lo arreglaran y me dijeron que tenía pulgas. Mi amiga también se llevó a su perro el mismo día y le dijeron que su perro también tenía pulgas. Mienten para facturarte más

★★★★★

Maravillosa experiencia. Excelente lugar para cualquier tipo de aseo. Estamos muy contentos de haber encontrado este lugar para convertirlo en nuestro nuevo lugar de aseo para nuestros dos pugs. Muchas gracias

★★★★

Inscribimos a nuestro gato para un lavado y corte, así como para una sesión de cepillado de dientes. El corte en sí superó el tiempo de respuesta proyectado de 2 horas, y cuando la recogimos 4 horas después, la cortaron pero no le cepillaron los dientes. Los empleados dijeron que podían hacerlo muy rápido y nos la devolvieron babeando después de unos 60 segundos en la trastienda. En general, hizo todo lo que queríamos por un precio razonable, pero tuvimos que tomar la iniciativa y llamar para verificar las actualizaciones sobre los retrasos en el servicio.

★★★★★
Guía Local

Alex ha estado cuidando a mi perro durante al menos 5 años y es muy bueno con ella y bastante asequible. ¡Definitivamente lo recomiendo!

★★★★
Guía Local

Muy buen trabajo y precios razonables. Personal amable.

★★★★★

Dudaba en llevar a mis gatos a la peluquería, pero no me decepcionó. Cuidaron a mis gatos e hicieron un trabajo maravilloso.

Información de Contacto

brandonrodas0505.wixsite.com
5421 Santa Monica Blvd suite d
Los Angeles
90029
Código Plus: 3MRR+9W Los Ángeles, California, EE. UU.
Zona Horaria: America/Los_Angeles

Horario de Atención

lunes 9:00–17:30
martes 9:00–17:30
miércoles 9:00–17:30
jueves 9:00–17:30
viernes 9:00–17:30
sábado 9:00–17:30
domingo 9:00–17:30

Servicios de Peluquería

Accesibilidad

Acceso para sillas de ruedas
Aparcamiento adaptado para sillas de ruedas